Jamajka se priprema za udar jednog od najjačih uragana u povijesti
JAMAJCI se približava opasan uragan Melissa, oluja pete kategorije koja prijeti poplavama i razornim vjetrovima. Očekuje se da će središte uragana, koji se kreće vrlo sporo, doći do kopna u ranim jutarnjim satima u utorak, a vlasti strahuju da bi ovo mogla postati najjača oluja koja je ikada pogodila ovaj karipski otok, piše BBC.
Katastrofalne poplave i klizišta
Meteorolozi upozoravaju da sporo kretanje Melisse znači da će se nad pogođenim područjima zadržati dulje vrijeme, donoseći ekstremne količine kiše, što povećava rizik od smrtonosnih poplava i klizišta. Na nekim dijelovima Jamajke u sljedeća četiri dana moglo bi pasti i do 100 cm kiše.
"Ovaj ekstremni potencijal padalina, zbog sporog kretanja, stvorit će katastrofalan događaj ovdje za Jamajku", rekao je Jamie Rhome, zamjenik direktora američkog Nacionalnog centra za uragane (NHC).
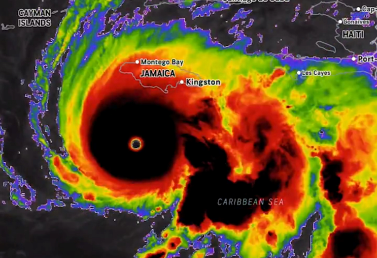
Prema posljednjim podacima NHC-a, Melissa se nalazila oko 233 km jugozapadno od Kingstona, krećući se brzinom od samo 6 km/h. Maksimalni udari vjetra dosežu 270 km/h, a prognostičari upozoravaju da bi uragan mogao dodatno ojačati u sljedećih 12 do 24 sata.
Vlada naredila evakuacije
Vlada Jamajke proglasila je cijeli otok ugroženim područjem i naredila hitnu evakuaciju nekoliko ranjivih zajednica, uključujući dijelove glavnog grada Kingstona. Premijer Andrew Holness pozvao je stanovnike da se pripreme i ostanu u zatvorenom. "Prebrodit ćemo ovu oluju i obnoviti se jači", napisao je na društvenoj mreži X, apelirajući na građane da se pridržavaju naredbi za evakuaciju.
Dužnosnici su također pozvali stanovnike u niskim i poplavnim područjima da potraže sklonište na sigurnijim lokacijama. U ruralnim područjima školski autobusi koriste se za prijevoz ugroženih stanovnika u skloništa, a naplatne kućice su otvorene kako bi se izbjegle prometne gužve.
Prognoza kretanja
Ako uragan nastavi predviđenom putanjom, njegovo središte će se "kretati blizu ili preko Jamajke večeras i rano u utorak, preko jugoistočne Kube u utorak navečer te preko jugoistočnih Bahama u srijedu" po lokalnom vremenu, priopćio je NHC. Očekuje se da će Melissa ostati iznimno snažan uragan dok bude prelazila preko Jamajke i Kube.
Melissa već odnijela živote
Uragan Melissa već je odnio četiri života na otoku Hispaniola, koji dijele Haiti i Dominikanska Republika. Tri osobe su poginule, a stotine domova poplavljene su na Haitiju. U Dominikanskoj Republici život je izgubio 79-godišnji muškarac kojeg su odnijele bujične vode u glavnom gradu Santo Domingu.
U tijeku je i potraga za 13-godišnjakom koji je nestao u moru. Nekoliko je osoba spašeno iz automobila zarobljenih u poplavama.
Brže učitavanje članaka, bez ometanja dok čitate.
10 eura mjesečno.